Christiana restingae T.S. Cout., Barb.Silva & Dorr
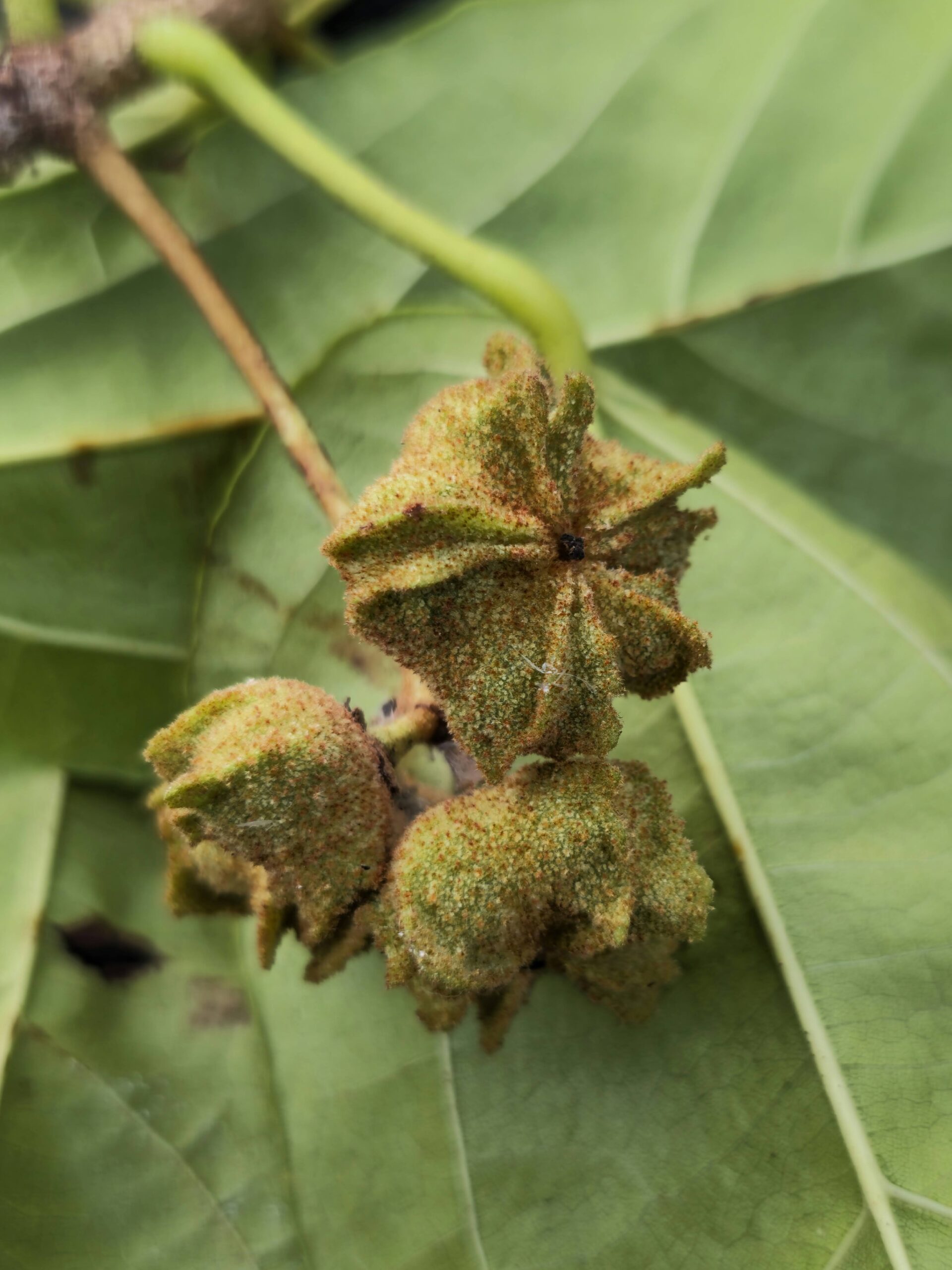
Espécie em perigo de extinção – Christiana restingae T.S. Cout., Barb.Silva & Dorr – Espécie em perigo de extinção- registrada em encosta de Restinga, município de Coruripe, Alagoas
Início » Alagoas Florestal » Christiana restingae T.S. Cout., Barb.Silva & Dorr
Espécie em perigo de extinção – Christiana restingae T.S. Cout., Barb.Silva & Dorr – Espécie em perigo de extinção- registrada em encosta de Restinga, município de Coruripe, Alagoas
